Highlights
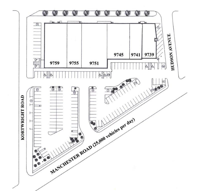
• 35,565 square feet
• Shadow anchored by Walgreens
• Conveniently located between Brentwood and Lindbergh Boulevard
• Easy access to Highway 40 and Interstate 44
• Excellent visibility from Manchester Road
• Four entrances from three streets
• Signalized intersection
• 186 parking spaces
• Illuminated pylon sign available for tenant use
• Strong demographics
Traffic Count
• 29,000 Vehicles per day Manchester Road (4 lanes)
Bay Sizes
• 6 units
• 3,700-9,000 square feet






